Il circovirus suino tipo 2 (PCV2) è l'agente eziologico di varie malattie che possono colpire i suini in tutte le sue fasi produttive; la malattia sistemica da PCV2 (PCV2-SD) e l'infezione subclinica da PCV2 (PCV2-SI) sono le principali. Questo gruppo di patologie si conoscono collettivamente come malattie da circovirus suino (PCVD). La gran varietà di patologie associate a questo virus in combinazione con la sua distribuzione a livello mondiale comporta un impatto ecnomico rilevante per l'industria suinicola. In questo articolo si discuteranno le caratteristiche del PCV2 e le sue implicazioni sulla patogenicità, trasmissione e persistenza.


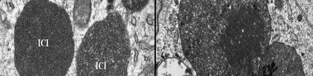
Microscopia elettronica di un linfonodo di un suino infetto da PCV2-SD. Notasi la presenza di corpi di inclusione intracitoplasmatici del PCV2 (ICI); in alcune zone le particelle virali possono presentarsi come strutture paracristalline (riquadro dell'immagine di destra). Foto cortesia di Carolina Rodríguez-Cariño, tesi di dottorato.
Il PCV2 è un virus icosaedrico senza envelope, con una catena semplice circolare di 1,76-1,77 kb ADN che appartiene al genero Circovirus della famiglia Circoviridae. La sua dimensione è di circa 12-23 nm di diametro, il virus più piccolo che infetta i mammiferi. Il genoma del PCV2 è formato da 11 marcatori aperti di lettura (ORFs) putativi, però l'espressione proteica è stata descrita solamente per ORF1 (gen Rep, che codifica gli enzimi di replicazione, non strutturali, Rep e Rep’), ORF 2 (gen Cap, che codifica la proteina del capside) e ORF 3 ( che codifica per una proteina non strutturale che induce l'apoptosi nelle cellule PK-15). La proteina del capside ha proprietà immunogeniche ed è capace di indurre risposta umorale e celluare efficace , per cui non è sorprendente che sia l'elemento comune nei vaccini commerciali contro il PCV2.
Gli studi filogenetici hanno rivelato una elevata percentuale di identità (>93%) tra i ceppi di PCV2. Tuttavia, vari studi inizialmente non consideravano significative le differenze tra gli isolati di PCV2, successivi lavori hanno diviso i ceppi di PCV2 in due gruppi principali denominati genotipo "a" (PCV2a) e "b" (PCV2b). Successivamente, un terzo genoticpo (PCV2c) è stato descritto in suini danesi negli anni 80. In fine è stato descritto un quarto genotipo (PCV2d) in Cina, anche se ad oggi non si sa se sia presente in altre parte del mondo. Nelle circonstanze appropriate,i PCV2a e PCV2b sono capaci di riprodurre sperimentalmente il quadro PCV2-SD. Senza dubbio, il PCV2b è stato correlato con molta più frequenza alla malattia, sia a livello sperimentale come negli studi epidemiologici, dove il cambio della predominanza del genotipo PCV2a per PCV2b negli animali sia stato associato alla comparsa epidemica di PCV2-SD. In questa situazione non è da scartare la possibilità di un'infezione concorrente con più di un genotipo a livello di campo. Attualmente tutti i vaccini commerciali versus il PCV2 si basano sul PCV2a, che si sono dimostrati eccellenti dal punto di vista dei risultati, evidenziando una protezione crociata contro il PCV2b. Andando ancora più in là, i vaccini sperimentali contro il PCV2b hanno dismostrato tuttavia risultati ancora migliori contro il PCV2b rispetto ai vaccini contro il PCV2a, il che suggerisce che la protezione omologa è apparentemente più efficace.
Le proprietà biologiche e fisicochimiche del PCV2 tuttavia non sono state completamente descritte.
Il virus è molto resistente nell'ambiente, mostrando anche una grande resistenza ai trattamenti chimici e termici (tabella 1).
Tabella 1. Effetto delle condizioni ambientali e dei trattamenti termici e chimici sull'infettività del PCV2.
| Effetto sull'infettività del PCV2 | |
| pH |
|
| Trattamenti termici |
|
| Trattamenti chimici |
|
IlPCV2 è un virus specifico dei suini che infetta suini domestici e cinghiali. La sua capacità di infettare altre specie come bovini, ovini, caprini, equini, canidi, felini, conigli e cavie, avicoli e l'uomo è stata studiata ma non è stata riscontrata sensibilità apparente di queste specie. Altri studi indicano che il PCV2 si può replicare e trasmettere tra ratti ; per questo motivo, si suggerisce un ruolo alternativo o di vettore meccanico per i topi ed i ratti negli allevamenti suinicoli dato che è stato trovato il PCV2 in soggetti di queste specie che vivono negli allevamenti di suini, ma non in quelli che vivono fuori. Tuttavia, il ruolo dei ratti nella epidemiologia totale del PCV2 è probabilmente piccola. E' stato isolato PCV2 in tutte le vie di escrezione-secrezione analizzate, essendo presente nelle cavità nasali, tonsille, bronchi, saliva, congiuntiva oculare, feci, urina, latte e seme. La transmissione normalmente avviene per via oro-nasale anche se la via transplacentare anch'essa è possibile. Le scrofe mantengono l'infezione negli allevamenti e a partire da loro si infettano i suinetti; questi possono soffrire una infezione di lunga durata, con viremia fino a 28 settimane. Avendo il PCV2 una alta resistenza ambientale ed una alta capacità di trasmissione, non è sorprendente che sia un virus persistente con una distribuzione ubiquitaria, presente praticamente ovunque si allevino suini.







